Alarming Crisis: Three Babies Born Every Minute Amid Sudan War, Charity Warns Alarming Crisis: Three Babies Born Every Minute Amid Sudan War, Charity Warns
Iran War Live: Trump Claims Tehran Seeks Deal Amid US Blockade in Strait of Hormuz Iran War Live: Trump Claims Tehran Seeks Deal Amid US Blockade in Strait of Hormuz
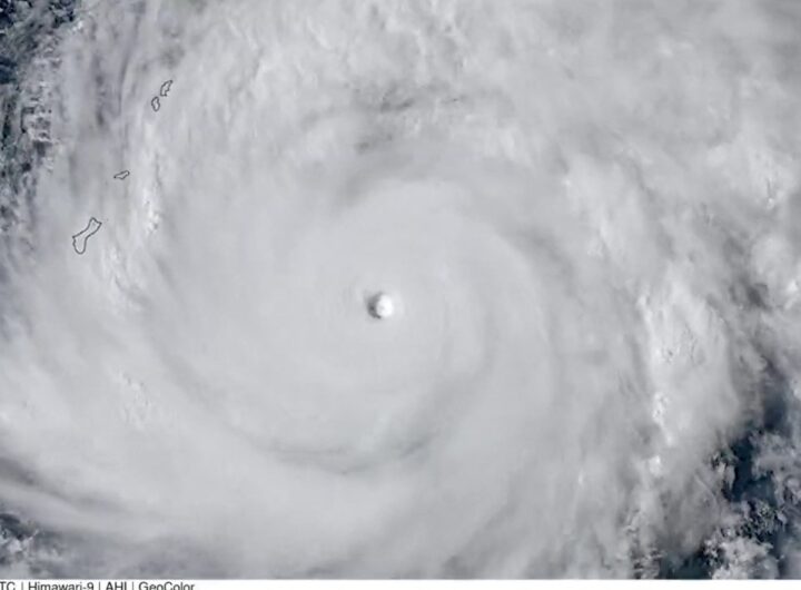
Super Typhoon Sinlaku Bears Down on Northern Mariana Islands and Guam Super Typhoon Sinlaku Bears Down on Northern Mariana Islands and Guam
US Military Kills Two Men in New Strike on Vessel in Eastern Pacific US Military Kills Two Men in New Strike on Vessel in Eastern Pacific
Anti-War Protesters Arrested in New York Urging End to Israel Weapon Sales Anti-War Protesters Arrested in New York Urging End to Israel Weapon Sales
Benin’s Wadagni Wins Presidential Election with Landslide 94% of Votes Benin’s Wadagni Wins Presidential Election with Landslide 94% of Votes
Iran War Live: Trump Claims Tehran Seeks Deal Amid US Blockade in the Strait of Hormuz Iran War Live: Trump Claims Tehran Seeks Deal Amid US Blockade in the Strait of Hormuz
Hezbollah Leader Urges Lebanon to Withdraw from Israel Talks, Criticizes Washington Meetings Hezbollah Leader Urges Lebanon to Withdraw from Israel Talks, Criticizes Washington Meetings
UN Secretary-General Calls for Respect of Navigation in the Strait of Hormuz UN Secretary-General Calls for Respect of Navigation in the Strait of Hormuz
Government Candidate Wadagni on Course to Win Benin Presidential Election Government Candidate Wadagni on Course to Win Benin Presidential Election